The early childhood of George Thomas Powell, my two times great grandfather, is a mystery. I first encounter him in the 1851 census, when he is 12 years old and living with his uncle and aunt, Henry and Sarah Glaysher at the cement mill in West Medina, Northwood. He spent the next forty two years living at the mill and working as an engine driver, until his death in 1894. Since he had been placed with relatives as a child, I was able to discover that his aunt, Sarah Glaysher, was the sister of his mother, Mary Powell, née Beard. Mary Beard had married (William) Benjamin Powell in Chiswick, Middlesex, in 1827 and they had daughters, Elizabeth, Mary Ann, and Emma, followed by two sons, Benjamin Thomas and William. You can read more about the life of George Thomas Powell and the story of my research in The Missing Child. However, although I had found some good information on his family, I was still lacking a record that placed George Thomas with his parents. I had no record of his birth or baptism, even though I knew that his birthday was June 23rd, as he happened to die on that very day. In every census, George Thomas said he was born in Chiswick so I now hoped to find him as a small child, recorded with the rest of his family in the 1841 census.
The Powell family had left Chiswick in the late 1830s, though they remained in the same area, close to the River Thames and west of the City of London. The daughters of Benjamin and Mary Powell were all baptised in Chiswick,(though Hammersmith was also a residence), but by 1836, the family had moved to Stafford Street, in the parish of St Marylebone where their son, Benjamin Thomas, was baptised. Their next child, William, was born at their home on Church Street, Twickenham, in 1838 but I hadn’t found a baptism for him. Since Benjamin Powell was a carpenter, he probably had to move around to find work, perhaps on boats moored on the river. Unfortunately, it was not easy to discover the family’s whereabouts in 1841. Powell is an extremely common name and as only one forename was recorded in this census, there was the possibility that Benjamin would be found under his much less distinctive first name of William. Eventually, after a lot of searching, I tracked the Powell family down to Deptford, Kent, on the opposite side of the City:

via http://www.ancestry.co.uk
It was surprising to find that the Powell family had moved east, far away from their previous locality. Mind you, Henry and Sarah Glaysher were living in nearby Plumstead at the time so they would have had some family nearby. No occupation was recorded for Benjamin Powell in the census, but his neighbours included coopers, a shipwright, a sail maker and a boat builder. Perhaps Benjamin had found carpentry work in the dockyard at Deptford. His wife’s name was indexed as “Mallory”, though it looked as if Mary might have been recorded initially. Certainly the names of the children fitted with the baptisms I had already found. However, there was still no sign of George Thomas Powell. Instead, the youngest child was a baby, Henry. I had previously found that the only Powell birth registered in the GRO indexes, where the mother’s maiden name was Beard, was that of three year old William (the older siblings were all born pre July 1837 when General Registration began). Had Henry’s birth gone unregistered too or could he even be George Thomas Powell, recorded here under a different name? I noted that all members of the family allegedly said that they been born in the county where they were enumerated. However, I knew that the children, with the possible exception of Henry, had all been born in Middlesex, not Kent, where Deptford is situated. However, historic county boundaries were often blurred in urban areas surrounding London. The family must have moved to Deptford some time between May 1840, after William’s birth, and April 1841, when the census was taken.
It clearly wasn’t going to be easy to find a record that linked George Thomas Powell with his parents. The next step was to see if I could trace the Powell family in the 1851 census. Although this would not include George Thomas (as he was by then living on the Isle of Wight), at least I would learn the birthplaces of his parents and more specific ages, as in the 1841 census, ages for adults were rounded down in multiples of five. However, despite much scouring of the indexes, searching under every possible variant, there was no sign of any member of the family in 1851. It was so frustrating!
Since George Thomas Powell had been sent to live with the Glayshers, there was the definite possibility that he had been orphaned. I therefore set out to see if I could trace the death certificates of his parents prior to the 1851 census. To do this, I searched the indexes of FreeBMD (http://www.freebmd) and if I found a potential candidate, I then checked the GRO indexes (http://www.gro.gov.uk) to discover their age. I found thirty four Benjamin Powell death entries registered between the June quarter of 1841 and the March quarter of 1851, but none were in the London area and there were no William Powell entries where the middle name was Benjamin. As for plain William Powell deaths, there were around fifty every year. In the September quarter of 1842 there was one William Powell death registered in Brentford, which is the registration district that includes Chiswick. Checking the GRO death indexes, I found that this individual was 35 years old, so he had been born ca. 1807, just old enough to have married in 1827. I obtained a copy of the certificate:

This William Powell was a labourer and the informant was a Mary Powell, perhaps his wife. However, although I couldn’t rule him out completely, this didn’t seem likely to be the record I was seeking, as this man was not recorded with a middle name of Benjamin, nor was he a carpenter, a skilled profession that surely would have been given by a family member registering the death. I also looked to see if I could find a candidate whose death had been registered in Greenwich, which covers Deptford, where the family were living in 1841, but I did not find any possibilities.
The search for the death of Mary Powell seemed similarly hopeless due to the sheer number of entries and the lack of a distinctive middle name. When her daughter, Emma, had been baptised in 1827, she had been recorded as Mary Ann, so the number of potential candidates was huge. I found just one Mary Powell death registered in Brentford in the June quarter of 1846 (there were none in Greenwich). A search of the GRO indexes revealed that she was 51 years old so would have been born ca. 1795. This made her a potential candidate but I decided not to obtain the certificate at this stage.
There was the always the possibility that Benjamin and Mary Powell were still alive in 1851 but I just hadn’t been able to identify them in the census so I looked at subsequent censuses too. Once again, I could find no trace of them. I also looked for their children. In particular, I hoped to identify Benjamin Thomas Powell, who had been born in 1836. However, I could not find him in the census, nor did I trace a likely reference to his death. His sisters, being older, may well have married in the late 1840s. There were many marriages for brides named Mary (Ann) Powell and Elizabeth Powell but none in Brentford. I did note the marriage of an Emma Powell registered in Brentford in the December quarter of 1846 that looked more promising but it still seemed as if I was searching for a needle in a haystack!
This was the position I was in until late last year, I received an email from a lady in America called Cynthia that turned my research upside down. She had seen my family tree online and decided to get in touch because her ancestors were also Benjamin and Mary Powell: she was a descendant of their daughter, Emma. The big shock was to learn that the family, (with the exception of my ancestor, George Thomas), had emigrated to America in 1849. This was the explanation for why I had been unable to find them in any census records after 1841, or a record of their deaths. Perhaps carpentry work had dried up for Benjamin and he wanted a fresh start. The Powells had emigrated to America on a ship called Germania:

via http://www.ancestry.co.uk
I haven’t been able to discover much about the Germania, except that she was a Prussian ship. In fact, around two thirds of her passengers on this voyage were from various German states, the remaining passengers being from Great Britain, Ireland and Scotland. It appears that the ship must have set sail from one of the German ports but stopped off in London, before continuing on its transatlantic voyage. The voyage would have taken anything from six weeks to twelve weeks, depending on the weather, but it is safe to say that it would have been far from comfortable for most of the passengers, with cramped conditions, poor food, disease, storms and seasickness to contend with. The Powell family arrived in New York on July 6 1849.
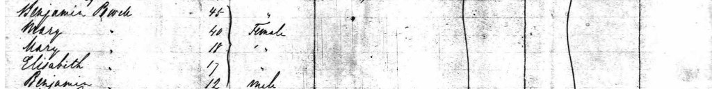
The details recorded on the passenger manifest submitted by the captain of the Germania on their arrival were rather sparse. No occupation was given for Benjamin Powell and the family were recorded amongst the Irish passengers. There were ditto marks beside their names for the column “The Country to which they severally belong”, which at face value, appeared to indicate that the family were from Ireland. Benjamin was 45 years old (born 1804) accompanied by Mary, aged 40 (born 1809), Mary aged 18 (born 1831) Elizabeth aged 17 (born 1832) and Benjamin aged 12 (1837). Also travelling with them on the ship were Emma Taylor, aged 21 (born 1827) and George Taylor aged 26 (born 1823). Emma was Benjamin and Mary’s married daughter and she and George were Cynthia’s direct ancestors. Clearly they had married in England before emigrating.

The Powell family then settled in a town called Fond du Lac, in the Mid-Western state of Wisconsin. Fond du Lac had first been settled in 1836 and was situated on the southern tip of Lake Winnebago. A school was opened in 1843 and the railroad arrived in 1852. Logging and milling were the main industries so it was not a bad place to settle for a skilled carpenter like Benjamin. A lot of Germans were moving to Wisconsin at the time so perhaps the Powell family decided to follow in the footsteps of some of the German passengers on board the Germania, who were heading there. Wisconsin had not been settled by Europeans before the 1830s, but between 1836 and 1850, there was a population explosion with numbers increasing from 11,000 to 305,000, with settlers arriving mostly from the East Coast and Europe.

The year after they arrived in America, Benjamin Powell and his family were recorded in the 1850 census of Fond du Lac, Wisconsin:

(https://familysearch.org/ark:/61903/3:1:S3HY-DCXR-M5?cc=1401638&wc=95R8-7MQ%3A1031304401%2C1031883001%2C1031883002 : 9 April 2016),
Wisconsin > Fond du Lac > Fond du Lac > image 41 of 48; citing NARA microfilm publication M432 (Washington, D.C.: National Archives and Records Administration, n.d.)
Analysis of the 1850 census of Wisconsin has revealed that over a third of the state’s population was foreign-born and less than half had English as their native tongue.
Apart from appearing in the census, 1850 was a momentous year for Benjamin Powell. He wasted no time and appeared in court, filing a declaration of intention for American citizenship on July 22 1850 at Ford du Lac, Wisconsin, renouncing his allegiance to Queen Victoria. The declaration of intention papers would later prove that he had resided in the country long enough to apply for citizenship. They also recorded that he had arrived in the country and landed in New York the previous year, in July 1849:

(https://familysearch.org/ark:/61903/3:1:3QS7-893Z-8GLL?cc=2046887&wc=M5DY-GPL%3A350577701%2C350961201 : 24 August 2020),
Fond du Lac > Declarations of intention, petitions for naturalization, petition evidence 1850 vol 2, no 900-999 > image 74 of 126; State Historical Society of Wisconsin, Madison.
Ten years later, when the 1860 census was taken, the girls had left home and only Benjamin and Mary’s youngest son, Benjamin, was still with them:

(https://familysearch.org/ark:/61903/3:1:33S7-9BS6-92HK?cc=1473181&wc=7QK5-TT6%3A1589422311%2C1589437000%2C1589437698 : 24 March 2017),
Wisconsin > Fond Du Lac > Fond Du Lac > image 5 of 31; from “1860 U.S. Federal Census – Population,” database, Fold3.com (http://www.fold3.com : n.d.); citing NARA microfilm publication M653 (Washington, D.C.: National Archives and Records Administration, n.d.)
Benjamin Powell had obviously improved his circumstances, as it was recorded that he had $1000 of real estate and $150 of personal property. (He had no real estate in 1850).
An immigrant had to wait anything from two to three years after he filed his declaration before submitting his petition for citizenship. When all the requirements had been met, the immigrant was sworn in as a citizen. They signed an oath of allegiance and were issued with a certificate of citizenship. Although Benjamin Powell had declared his intention of becoming an American citizen in 1850, he did not submit his petition for citizenship until twelve years later, when it was granted by the Circuit Court of Fond du Lac on May 17 1862:

It was wonderful to see the signature of Benjamin Powell on this record. He wrote his name in a similar manner when he married in Chiswick, Middlesex in 1827 with both his first names abbreviated.
Sadly, tragedy was to befall the family with the outbreak of the American Civil War. Young Benjamin signed up and enlisted as a private in the Wisconsin Muster Company, 21st Infantry Regiment, on August 15 1862, fighting on the Union side. He was never to return home as he died on November 10 1863 at Bowling Green, Kentucky, during the Chattanooga Campaign. The 21st Wisconsin suffered the deaths of 5 officers and 117 enlisted men as a result of action (or who died later from wounds), whilst 3 officers and 180 enlisted men died from disease.
By 1870, Benjamin Powell had decided to give up carpentry and began a new venture, starting his own business running a saloon with the capital he had saved. Perhaps in his old age he was looking for less demanding physical work. The 1870 census records that he now had $3000 of real estate and $100 of personal estate:

(https://familysearch.org/ark:/61903/3:1:S3HY-64V9-QV?cc=1438024&wc=KPNL-VZ9%3A518654501%2C519171501%2C519185101 : 11 June 2019),
Wisconsin > Fond du Lac > Fond du Lac Town > image 8 of 32; citing NARA microfilm publication M593 (Washington, D.C.: National Archives and Records Administration, n.d.)
On January 9 1880, Benjamin Powell died and his widow and executrix, Mary Ann, petitioned the Fond du Lac County Court a few days later, on January 13, so that probate could be granted. Mary Ann says that her husband’s heirs, according to his will, are his two married daughters, Emma George Taylor and Mary Nightingale, as well as Mary Ann herself:

via http://www.ancestry.com
It is wonderful to see Mary Powell signing her name on this record. Benjamin had left $200 of personal estate and $1500 of real estate, quite a tidy sum! There is no mention of their daughter, Elizabeth, so she was probably already deceased. Further research will be needed to see if Benjamin’s original will has survived. Later that year, Mary (Ann), is living alone, aged 74, in Fond du Lac when the 1880 census was taken:

Shortly afterwards, Mary Powell moves to Philadelphia to live with her daughter, Emma Taylor, where she dies in 1884.
Since Emma Powell married George Taylor in England, I decided to get a record of their marriage. I had previously noted the marriage of an Emma Powell registered in Brentford in the December quarter of 1846 in the GRO indexes so I now obtained a copy of the certificate:

dated December 25 1846, St Nicholas, Chiswick
Emma Powell married John George Taylor in the parish church of St Nicholas, Chiswick on Christmas Day 1846. She named her father as Benjamin Powell, a builder, (he had probably diversified his carpentry business), and I was delighted to see that he was one of the witnesses, signing the register using his full name of William Benjamin Powell. Mary Powell also signed the register. All of them were to leave England around 18 months later.
When the Powells emigrated to America, apart from leaving George Thomas behind, they were not accompanied by their young sons, William and Henry, who were recorded with them in the 1841 census. Did they die in childhood? Though Henry’s birth does not seem to be registered, the death of a Henry Powell, aged 1, is registered in Greenwich in the September quarter of 1841 in the GRO indexes. I obtained a copy of the certificate:

Sadly Henry Powell died of intestinal disease on September 8th 1841, just short of his second birthday. His father was named as William Benjamin Powell, a carpenter, and he had died at Evelyn Street in Deptford, where the Powell family were living at the time of the 1841 census. Mary Middleton, who was present at the death, was the informant. A check of the 1841 census revealed that she was a neighbour of the family, and also the wife of a carpenter.
Henry’s death certificate proves that George Thomas Powell was not a child of Benjamin and Mary Powell. Henry’s older brother, William, was born on April 30 1838 and if Henry was born around October 1839 (since he was 1 year and 11 months when he died in September 1841), George Thomas could not have been born on June 23 1839. Strangely, though I have a copy of William’s birth certificate, I cannot find a likely entry for his death between the 1841 census and the family’s departure for America in the summer of 1849 in the GRO indexes.
From the American research, I now knew that Benjamin Powell was running a saloon in Fond du Lac in his later years. However, this extract from the Proceedings of the Old Bailey (www.oldbaileyonline.org), (which records people who appeared in trials at London’s central criminal court between 1674 and 1913), dated September 26 1846, suggests that he may have opened up a similar business in England some years earlier:
GEORGE GILES and TIMOTHY SULLIVAN were indicted for stealing 2 bottles, value 2d.; 1 quart of stout, 10d.; and 6 cheroots, 1s.; the goods of William Benjamin Powell. MARY ANN POWELL . I am the wife of William Benjamin Powell—we keep a beer-shop at Battersea. The prisoners came there on the 21st of Sept., about one o’clock—they had some dinner and some porter—after they left I missed some cheroots out of a glass—I suspected the prisoners, as no one else had been in the house—in a little time my husband came in and asked if I had sold some stout—I said, “No”—he said the prisoners were drinking some stout in the lane—I missed some stout, but I cannot say what—two bottles were brought back—they are mine. Cross-examined by MR. BALLANTINE. Q., Who paid for what they had at your house? A. Sullivan—the stout was kept in the bar, and the cheroots were further in the bar, near the parlour—door—they are worth 2d. a-piece., WILLIAM BENJAMIN POWELL . I keep the beer-shop. I gave information to the policeman, and he took the prisoners—he took the cheroots from Giles—one bottle of the stout was between the prisoners as they were lying in the road in Falcon-lane—I have examined the cheroots and these bottles of stout—they are mine to the best of my belief—the prisoners were a little the worse for liquor.
Old Bailey Proceedings Online (www.oldbaileyonline.org, version 8.0, 07 April 2021), September 1846, trial of GEORGE GILES TIMOTHY SULLIVAN (t18460921-1981).
When Benjamin and Mary Powell’s daughter, Emma, married on Christmas Day 1846, just three months after this incident, Benjamin Powell was described as a builder, but did he keep a beer shop on the side in Battersea? As I haven’t found any references to another individual named William Benjamin Powell, living in the London area during this period, and given his saloon bar in America, it seems plausible.
So what did George Thomas Powell feel about his family leaving him in England? In my mind’s eye I see a young boy looking sadly out over the River Medina on the Isle of Wight, surrounded by the noise and dirt of the cement mill, wondering about his family who were thousands of miles away in a new land across the sea. George Thomas was to spend the whole of his working life at the cement mill and almost certainly, never saw his parents or siblings again. Although as result of my research, I am pretty certain that Benjamin and Mary Powell were not his birth parents, presumably George Thomas had spent the early years of his childhood with them before they emigrated to America, and believed they were his parents. He had their name and said that Benjamin Powell was his father when he married. Why was he left behind? Did he want to go with them to America? Were efforts made to keep in touch with him? I have so many questions. At least his aunt and uncle, Henry and Sarah Glaysher, offered him a home and his uncle ensured that he had a good job. Perhaps George Thomas was the son that they never had.
It has been a huge surprise to discover that a direct ancestor emigrated to America. I have even been on holiday to Wisconsin but I would never have dreamed that members of my family had once lived there. It’s also been amazing to learn that I have a close connection to someone who fought and died in the American Civil War. When I had found no trace of Benjamin and Mary Powell in later censuses or a record of their deaths in England, it had crossed my mind that they might have emigrated but with no knowledge of their destination, it seemed hopeless to follow that line of enquiry. In addition, surely my ancestor would have gone with them. I now know so much more and I hope my story shows that you should never give up, even when the research gets challenging. If people disappear from the records, emigration may be the reason why so finding their descendants may point you in the right direction. Although I still haven’t discovered much about the early years of George Thomas Powell, I have been able to prove that he wasn’t the birth child of Benjamin and Mary Powell. It has also been wonderful to learn more about the family he claimed as his own.
My search for clues concerning the identity of George Thomas Powell continues and next time, I am focussing my attention on the Beard family.
© Judith Batchelor 2021
I would like to express my thanks to my American correspondent, Cynthia, who got in touch with me and kindly provided me with information on the Powell family in America. We have not been able to establish any DNA connection between us but it’s been great to work together and share our research on the Powell family.
You can read about the life of George Thomas Powell in The Missing Child.
Postscript
Thanks to Jacqui, a kind reader, I now have the civil war file for Benjamin Thomas Powell. The file turned out to be quite substantive. His mother, Mary ,had filed for a pension, as with her husband unable to do hard labour, they were relying on Benjamin for financial support. Benjamin’s commanding officer testified that while in the line of duty, his company had been subject to exposure after the Battle of Perryville where they were without tents or clothing. After lying two days in a snowstorm, Benjamin contracted rheumatic fever and was sent to hospital in Bowling Green where he died. I will be writing another blog about these papers, as they are so interesting.

You can see the hours and hours of research that has been poured into this work, it is meticulous in its detail and obsessive in its mission of finding the truth – the human stories set with the social and economic context of the times. It is a wonderful read, most especially on this occasion to take that journey of emigration with the Powells and to make witness of their new life in America, which then ties into the National story there. An engrossing piece of research with useful links (I will be using the old Bailey resource from now!) Thank you for sharing it with us.
LikeLike
Thanks so much! It turned out to be such an extraordinary story, though it is still not complete, as I have so many unanswered questions. It also illustrates that there is a lot to be gained by collaborating with other researchers. The Old Bailey website is a real gem. It contains lots of stories about ordinary people. If you find your ancestors there, they were not necessarily the criminals. They could appear as witnesses to crime or were the victims.
LikeLike
Hi Judith This is a fascinating and incredible complex story which still leaves questions. The American link is intriguing would DNA tell anything more? Hope we can meet up soon Heather x Sent from my iPad
>
LikeLiked by 1 person
Sadly neither you or I share any DNA with Cynthia or her sister. That doesn’t necessarily mean that we are not related, of course. I am hoping that other descendants will come forward. It would be a good project to see if the mysterious origins of George Thomas Powell can be identified through DNA.
LikeLike
Another wonderful story, pieced together step by step using a logical and methodical approach and I am truly amazed like you that the family needed up emigrating and leaving him behind. It raises as many questions as it answers, but at least you have the answer to that elusive question!
LikeLiked by 1 person
Thank you Paul! For ages, I wondered what had happened to the family but now I least have that part of the puzzle. Still lots more to discover but that is part of the attraction of family history. 😁
LikeLiked by 1 person
Absolutely you now have so much to follow up on and to think you even holidayed there!
LikeLiked by 1 person
I’m not sure I would ever have discovered this without being contacted by Cynthia. The wonders of sharing research in genealogy!
LikeLiked by 1 person
Good point, its really shows the value of sharing our tree and our stories as much as possible
LikeLike
I was so glad to find you also even though I got the feeling in the beginning you didn’t quite believe that they came to the US. There is so much yet to learn about the family. Finding the Powell’s in Wisconsin was a surprise to me since I have no other relatives settle there. Finding William Benjamin’s will proved I was on the right track since it mentioned my gggrandparents John George known as George and Emma Powell Taylor. Emma inherited 1 dollar! By the way my husband was born and raised in Wisconsin. Small world.
I hope we stay in touch and learn more about this interesting family together.
LikeLiked by 1 person
We certainly will, thank you Cynthia!
LikeLike
Is it possible that George and William are the same person?
LikeLiked by 1 person
Great to hear from you. I have considered this but I think that it is highly unlikely due to the completely different birth date. I also think that the fact George Thomas was left behind in England is perhaps the strongest evidence so far that he was not the biological child of Benjamin and Mary.
LikeLike
I loved the story.
LikeLiked by 1 person
Wonderful! So pleased you enjoyed it.
LikeLike
What a fascinating case study! And how cool that you found a distant cousin as well 🙂 My 3rd great-grandfather, George Sinkins, was also a carpenter/builder, so it seems to two occupations went hand in hand, which stands to reason.
LikeLiked by 1 person
Thanks! I never suspected an American connection so it was an amazing revelation. It sounds as if it was quite common for carpenters to be builders on the side.
LikeLike